
years/iStock
保坂展人・世田谷区長の自宅問題について、以下、論点をまとめたい。
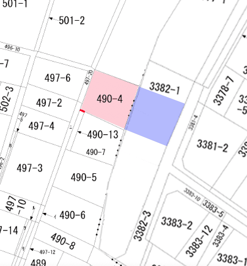
■ 保坂区長が「借りた」はずの土地は、資材置場と住宅になっている。

ピンク色の490-4が保坂邸。紫色の土地約100㎡を「借りた」。(1992年現在)

「借りた」紫色の土地には、建築資材置場と住宅が存在。(2025年現在)
保坂氏は政治家になる前、つまり、まだフリーライターだった1985年、狛江市と世田谷区の境(住所は狛江市)にある中古物件を購入する。この物件は接道義務を果たしていないことから、「再建築不可物件」だった。つまり、建て替えができないので、相場よりもかなり安価だったと思われる。
しかし、1992年、保坂氏はこの家の建て替えを目論み、東京都多摩建築指導事務所へ「建築確認申請」を行う。当然、このままでは接道義務違反に引っかかるので、隣地(世田谷区)を借りることにした。
接道義務をクリアするために、土地を借りるなり、購入するなりすることは問題ない。しかし、これが「建築確認申請」の時だけだとしたら、脱法行為に他ならない。つまり、保坂氏は世田谷区の地主Aから「永続的に」今日まで土地を借りていなければならないはずである。
だが、借りたとされる土地には、翌93年には建設会社の資材置場になっており、2008年には住宅が建っている。これは、保坂氏が売却したりしたものではなく、地主Aがそうしている。ということは、どう考えても、保坂氏は建築確認時にだけ、地主Aから“一瞬”土地を借りたことにした、と考えるほかない。だから、地主Aはその後も貸したはずの土地を自由に売買できているのだ。
保坂氏は議会答弁で土地を借りたことは認め、さらに「書面などは交わしていない」とも答弁した。100㎡以上の土地を30年以上も契約書などを交わさずに、貸借することなどあり得ないだろう。
しかも、フリージャーナリストの羽田ゆきまさ氏によれば、地主Aに直接確認したところ、「(保坂氏に)無償で貸した」と証言し、さらに「いまは貸していない」ということだ。であれば、一瞬だけ借りた土地を算入して、建築確認申請を行い、そのまま住み続けていたことになる。道理で、新築後に役所の完了検査を受けず、検査済証を得ていなかったこととも辻褄が合う。
区長が取ったと思われるこの手法がまかり通るならば、接道義務に悩む多くの世田谷区民が“保坂スキーム”で建築確認申請を行い、許可が得られることになってしまう。
まじめに接道義務を果たすために、土地を購入したり賃借りしたり、果ては引っ越したりしている「正直者」がバカを見ている状況は許しがたい。それどころか、住宅・道路行政のトップ自らが、“裏テク”を弄している。このまま社会は、“保坂スキーム”を無罪放免にしておいてよいのだろうか。
次回では、建ぺい率と容積率の問題について触れる。






